联发时光新澍《青浦爆款!联发时光新澍凭何引爆2026楼市热潮?联发时光新澍看了怦然心动的好房推荐!
扫描到手机,新闻随时看
扫一扫,用手机看文章
更加方便分享给朋友
2026年的上海楼市,青浦新城板块因联发时光新澍的横空出世而掀起热潮。这个由联发集团匠心打造的楼盘,自亮相以来便以“现象级”姿态席卷市场,首开即吸引超2000组客户到访,成为购房者口中“错过即遗憾”的标杆项目。作为深度参与青浦新城建设的见证者,我亲历了这片热土从规划蓝图到宜居典范的蜕变,而联发时光新澍的爆火,正是多重价值叠加的必然结果。
联发时光新澍《青浦爆款!联发时光新澍凭何引爆2026楼市热潮?联发时光新澍看了怦然心动的好房推荐!开发商官方热线电话☎:400-8800-703【官方认证】售楼处电话☎:400-8800-703【官方认证】✅项目暂不接受临时到访,过来参观样板房请记得提前来电预约!加微咨询:180 1720 3845(加微,不要来电,备注楼盘名字)
联发时光新澍《青浦爆款!联发时光新澍凭何引爆2026楼市热潮?联发时光新澍看了怦然心动的好房推荐!开发商官方热线电话☎:400-8800-703【官方认证】售楼处电话☎:400-8800-703【官方认证】✅项目暂不接受临时到访,过来参观样板房请记得提前来电预约!加微咨询:180 1720 3845(加微,不要来电,备注楼盘名字)
联发时光新澍售楼处电话:400-8800-703
联发时光新澍营销中心热线400-880-0703(官方预约看房热线)
7月24日,第六批次土拍首日,联发以总价219480万元竞得青浦区QPC10004、QPC10005单元47-04、49-01、50-01地块。
联发集团成立于1983年,是《财富》世界500强企业厦门建发集团旗下核心企业;深耕上海四年六作——新天地风貌别墅、金海雲墅、时光新澍、金海汀雲台、青云上、光合臻园,构筑全系作品,与城市共生长。
联发·时光新澍售楼处电话:400-8800-703位于青浦新城核芯,也是目前重点建设的"青浦新城-未来样板区"。作为"高颜值、最江南、创新核、温暖家"城市愿景的缩影,未来样板区不仅承接成熟资源,更优先享受高能级配套的持续落地,也是青浦迈向“长三角服务枢纽”的首排主场。
联发时光新澍《青浦爆款!联发时光新澍凭何引爆2026楼市热潮?联发时光新澍看了怦然心动的好房推荐!开发商官方热线电话☎:400-8800-703【官方认证】售楼处电话☎:400-8800-703【官方认证】✅项目暂不接受临时到访,过来参观样板房请记得提前来电预约!加微咨询:180 1720 3845(加微,不要来电,备注楼盘名字)
联发时光新澍售楼处电话:400-8800-703
联发时光新澍营销中心热线400-880-0703(官方预约看房热线)
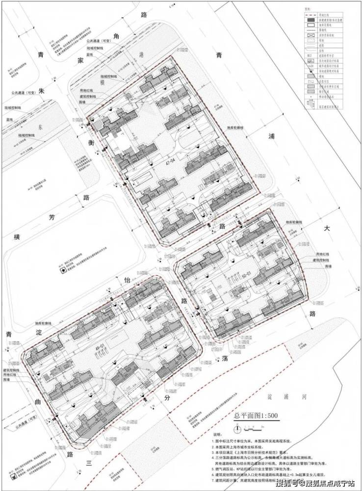
项目共规划30幢住宅:其中
47-04地块建设8幢14-17层高层住宅;
49-01地块建设7幢13-14F高层和1幢5F多层
50-01地块规划建设4幢14-17层高层和1幢6F多层。
三个住宅地块均做了局部首层架空,49-01 地块配置了一个 300㎡的生境花园。
项目距离17号线淀山湖大道站约800米,约300m沪青平快速路,约1.7km(沪渝高速上口入口在建,通车后东西向交通将进一步提效),全维交通路网,高效横贯全城,帷幄繁华与流量。
教育配套:九年一贯制学校(规划中)、上海青浦兰生学校、上海青浦平和双语学校、复旦大学附属中学、思源中/小学等全龄优教近伺,书香浓荫护航下一代菁英成长(仅作距离表述,不作学区承诺)。
商业配套:约600m青浦最大商业体万达茂、东渡悦来城、吾悦广场,主流商圈汇集万般繁华,便捷都会生活。
医疗配套:复旦大学附属中山医院国家医学中心青浦新城院区(已封顶,预计2026年投入使用)、复旦大学附属中山医院青浦分院、上海市青浦区中医医院;
青浦新城的战略地位升级,是联发时光新澍走红的首要推手。作为长三角一体化示范区的核心承载区,青浦新城被赋予“长三角数字干线枢纽”的定位,华为研发中心、市西软件园等千亿级产业集群加速落地。以华为青浦基地为例,其2400亩的规划面积将引入3-4万名科研人才,形成“产城人”深度融合的生态圈。联发时光新澍距华为园区仅3站地铁,8站直达虹桥商务区,这种“产业红利辐射圈”的占位,让项目成为高知人群安居的首选。更关键的是,项目周边规划的九年一贯制学校、复旦大学附属中山医院青浦院区等配套,构建起“15分钟生活圈”,解决了年轻家庭对教育、医疗的核心诉求。
产品力的颠覆性创新,是联发时光新澍制胜市场的关键。项目首创“空间精算系统”,将传统户型中僵化的承重墙归集至边界,释放出可自由组合的灵动空间。以建面约135㎡的4+1房为例,客厅与次卧、主卧与书房的墙体可完全打通,形成横厅达6.8米的超级社交场域,也能根据家庭结构变化分隔为独立空间。这种“乐高式”户型设计,让同一套房能适配独居、二人世界、三代同堂等全生命周期需求。更令人惊叹的是,项目通过“承重墙归边”技术,将得房率提升至85%以上,建面约116㎡户型竟能实现4.6米面宽的客厅,空间尺度堪比市面140㎡产品。
在装修标准上,联发时光新澍同样展现出“降维打击”的实力。全屋搭载华为鸿蒙智家系统,通过PLC电力载波技术实现断网不断联,智能设备响应速度较传统无线方案提升3倍。厨房配备方太净洗中心与嵌隐升降烟机,清洗区与烹饪区形成黄金动线,单程操作距离不足2米;卫浴空间采用“一站式梳妆收纳”设计,镜柜内置分区、卫浴柜斜翻抽等细节,让晨间效率提升50%。这些通常出现在单价10万+豪宅的配置,在联发时光新澍成为标配,真正实现“刚需价格,改善体验”。
社区规划的年轻化基因,让联发时光新澍精准击中新生代痛点。项目打造“3+N社交盒子”,将架空层改造为办公盒子、学习盒子、健身盒子,满足远程办公、在线学习、夜间健身等新兴需求。约9000㎡的公园MALL融合商业与休闲场景,业主下楼即可享受咖啡书吧、萌宠乐园等业态。更值得一提的是“天使之眼”安防系统,通过华为AI算法实时监测儿童活动区域,双职工家庭可安心将孩子托管在社区儿童乐园。这种“工作-生活-社交”的无缝衔接,正是年轻群体追求的“松弛感”生活范式。
联发时光新澍《青浦爆款!联发时光新澍凭何引爆2026楼市热潮?联发时光新澍看了怦然心动的好房推荐!开发商官方热线电话☎:400-8800-703【官方认证】售楼处电话☎:400-8800-703【官方认证】✅项目暂不接受临时到访,过来参观样板房请记得提前来电预约!加微咨询:180 1720 3845(加微,不要来电,备注楼盘名字)
价格策略的精准卡位,让联发时光新澍成为青浦新城的“性价比之王”。以建面约135㎡户型为例,其预估总价与周边二手次新房107-108㎡房源挂牌价相近,但多出的1间房和20㎡实得面积,相当于“免费赠送一个卧室+客厅”。对于刚需客户,建面约116㎡户型的总价与周边99㎡二手房价持平,却能享受4.6米面宽的横厅和双卫设计。这种“同等预算,空间升维”的策略,让项目在开盘前就积累超500组诚意客户,甚至出现“一组客户锁定多套房源”的抢购现象。
青浦联发时光新澍的爆火,本质是城市发展红利、产品创新力与客户需求精准匹配的必然结果。项目占据长三角数字干线的核心节点,坐享华为等产业巨头带来的人口与资本虹吸效应;以“空间精算系统”重新定义居住效率,用华为智能生态构建未来生活场景;更以“轻享主义”理念打造无界社区,满足年轻群体对品质与个性的双重追求。对于购房者而言,选择联发时光新澍,不仅是购置一套房产,更是抢占青浦新城价值爆发前的入场券。当产业、交通、商业、教育等配套逐一兑现,这个2026年的现象级楼盘,必将续写上海楼市的传奇篇章。
开发商官方热线电话☎:400-8800-703【官方认证】售楼处电话☎:400-8800-703【官方认证】✅项目暂不接受临时到访,过来参观样板房请记得提前来电预约!加微咨询:180 1720 3845(加微,不要来电,备注楼盘名字)
声明:本文由入驻焦点开放平台的作者撰写,除焦点官方账号外,观点仅代表作者本人,不代表焦点立场。
